조황관리HOME / 조황관리 / 상세정보

제목 : 8/2일 농어외수질 조황
등록일 : 2025-08-03

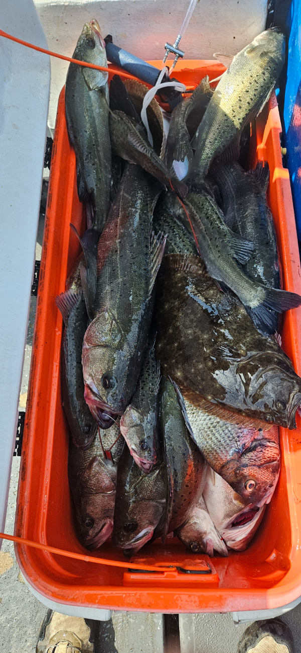
12분모셨습니다.

역시 주말이라 배들이 많네요.특히 레져배가 포인트마다 진치고있어 힘들었지만 한마리한마리 모아 기본이상으로 입항했습니다.못잡으신분 나눔도 해주시고 뜨거운 날씨에 고생 많으셨습니다.

다음일정은 화요일 출조예정입니다.


20250802_154950.jpg


20250802_155050.jpg


20250802_153455.jpg


20250802_153927.jpg


 



=======바이킹2호 예약안내=========


 오천항 바이킹2호 입니다.
항상 쾌적한 출조점의 환경과 최상의 서비스로 보답하겠습니다.

■ 문의전화 : 010-5405-7732
■ 오시는길 : 충남 보령시 오천면 소성안길 70
■ 홈페이지 실시간 예약 : http://viking.sunsang24.com/
■ 계좌안내 : 농협은행 / 453810-56-006880 / 이종화

바이킹2호 네임카드
Top